Oplysende kortbilag

Kortbilagene herunder hører til lokalplanens redegørelse og oplyser om de eksisterende forhold samt de mulige, fremtidige forhold i planområdet.

Kortbilag 1: luftfoto

Kortbilag 2: bindingskort

Kortbilag 3: illustrationsplan

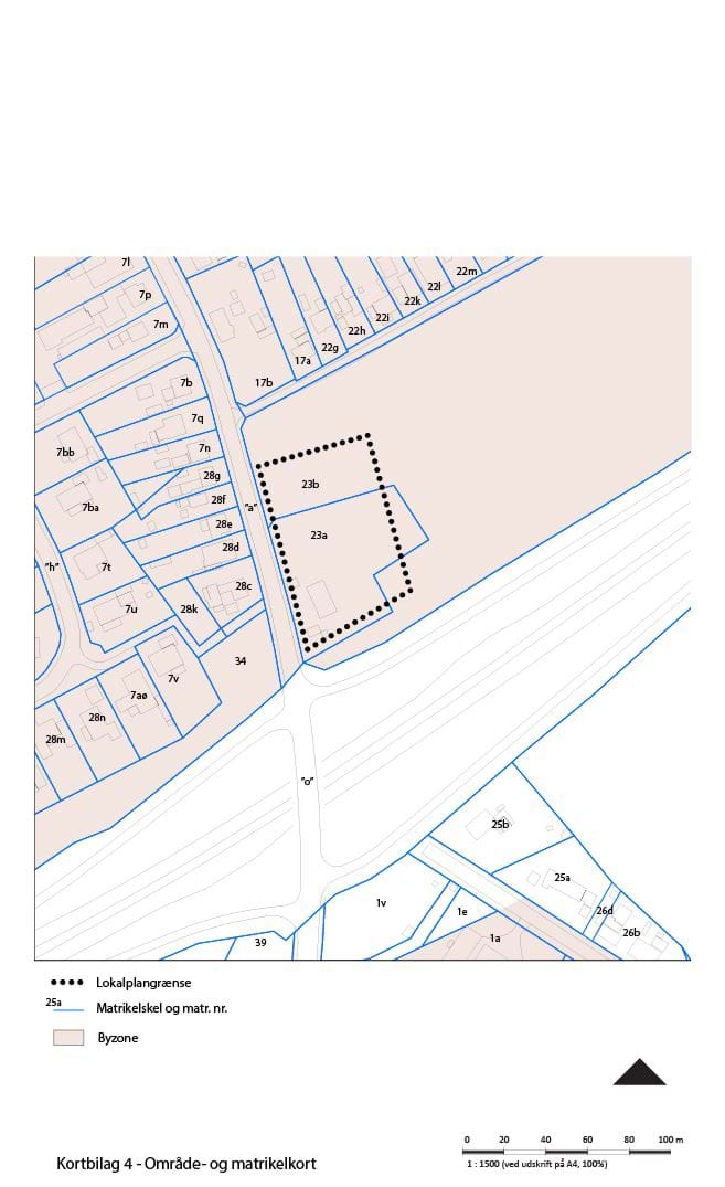
Juridisk bindende kortbilag

Kortbilagene herunder hører til lokalplanens bestemmelser og er juridisk bindende i forhold til de fremtidige forhold i planområdet.

Kortbilag 4: område- og matrikelkort

Kortbilag 5: anvendelsesplan