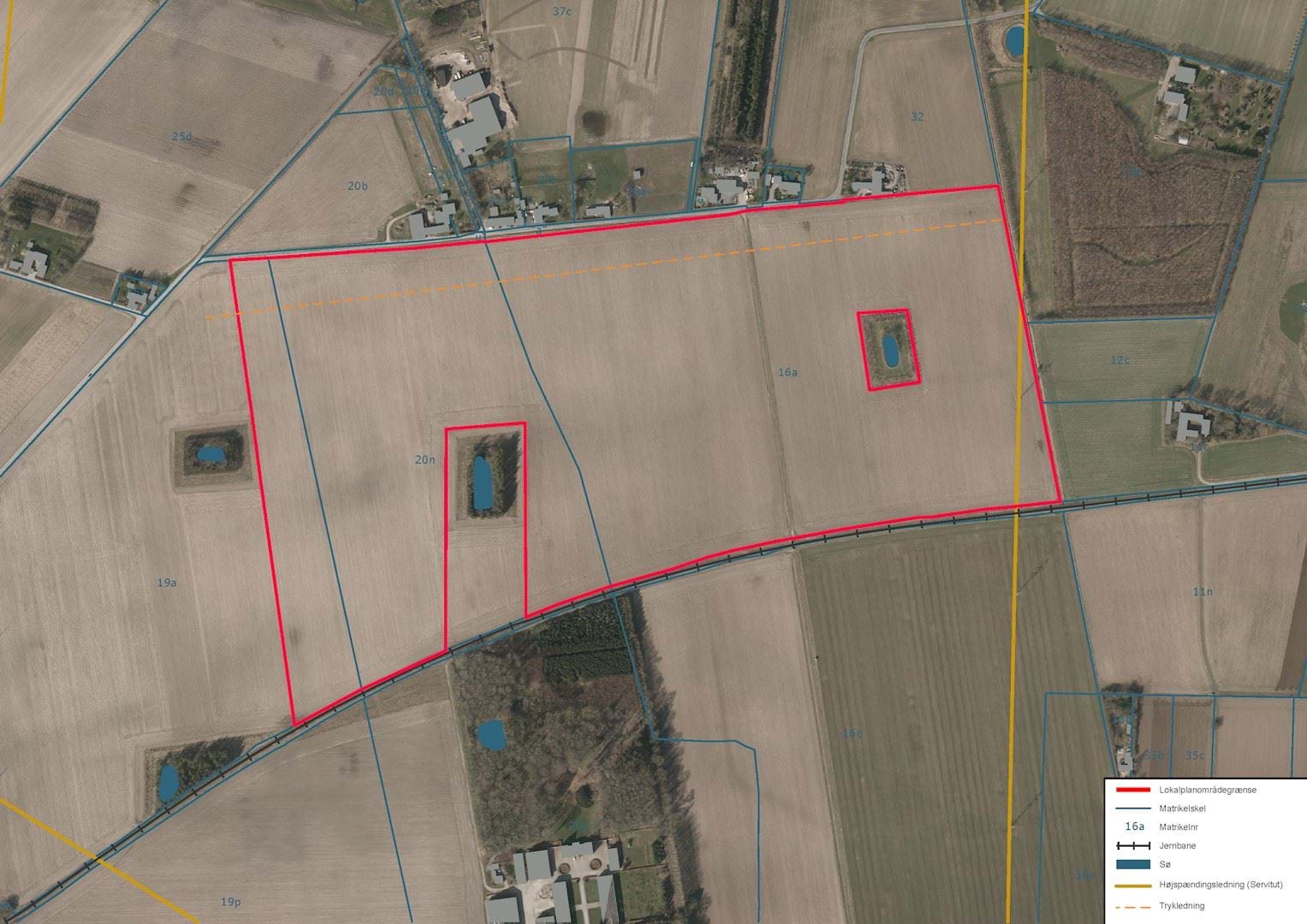
Lokalplanområdet
Solcelleanlægget etableres på en del af Svinningegårdens jorder på matr. nr. 16a, Sandby By, Kundby og 20n og del af 19a begge af Svinninge By, Svinninge. Arealet er beliggende nordøst for Svinninge mellem vejen Maglebjerg og lokalbanen mod Holbæk. Lokalplanområdet er ca. 30 ha.
Projektets placering og vejadgang.
Lokalplanområdet har hidtil været anvendt til landbrug, og derfor fremstår arealet i dag som marker. Det omgivende område er præget af landbrug. Inden for lokalplanområdet er der to søer på ca. 1.500 m² og på ca. 800 m², som er omgivet af bevoksning.
I den østlige del af lokalplanområdet er der en højspændingsledning, hertil hører et deklarationsbælte på 15 m. Øst for lokalplanområdet løber en afvandingsgrøft, og der ligger et mindre skovareal.
I den nordlige del af lokalplanområdet ligger en trykledning, som kan ses på kortbilag 2, hertil hører et deklarationsbælte på 1 m. 
Vest for lokalplanområdet er der marker og et par søer. Nord for Maglebjerg består bebyggelsen af boliger og landbrugsejendomme.
Syd for lokalplanområdet er der en privatejet skov ejet af Svinningegården. Landskabet er i øvrigt ikke præget af særlige beplantningstræk. Lokalplanområdet afgrænses mod syd af banen mellem Svinninge og Holbæk.
Terrænet inden for lokalplanområdet falder svagt fra vest mod øst. Nogle steder ligger det lidt højere end vejen. Nord for vejen Maglebjerg ligger terrænet lavere end lokalplanområdet, da det falder mod Lammefjorden.
Maglebjerg med bebyggelse og marken, hvor solcelleanlægget placeres. Her ses det svagt faldende terræn fra vest mod øst indenfor lokalplanområdet.


