Miljø
Støj
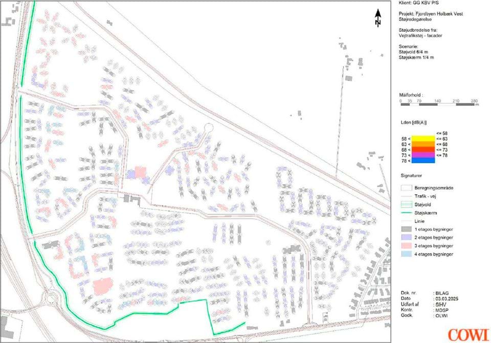
Der er foretaget beregning af støj fra vej- og togtrafik for lokalplanens området. Notatet behandler alene trafikstøj fra veje og jernbane på facade. Alle beregninger er udført med forudsætningen, at der etableres støjvolde på hhv. 6 m og 4 m langs dele af Kalundborgvej og Tuse Lågevej samt støjskærme på 1 m på voldene og enkeltstående støjskærm på 4 m. på terræn. Støjvoldene kan ses på kortbilag 5 og Figur 80.
Der er således udarbejdet støjkonturkort, der for højderne 1,5, 4,5, 7,5 og 10,5 meter over terræn definerer området, hvor grænseværdien for vejtrafikstøj på Lden = 58 dB er overholdt. Indenfor disse rammer er der udarbejdet et forslag til bebyggelsesplan.
Supplerende beregning af facadestøjniveauer på bygningsfacader i foreslåede bebyggelsesplan viser, at Miljøstyrelsens vejledende støjgrænseværdi for vejtrafikstøj (Lden 58 dB) er overholdt.
Støj fra jernbane overholder grænseværdien i hele planområdet. Den resulterende støj fra jernbanetrafik vil være væsentligt under grænseværdien på Lden. 64 dB. Dette skyldes til dels den relativt lave jernbanetrafik på strækningen og den beskedne mængde togsæt.
De udendørs opholdsarealer er generelt beliggende i længere afstand fra veje end facader, hertil er størstedelen af opholdsarealerne afskærmet af bebyggelsen, når denne etableres. En støjanalyse af det planaktuelle område viser, at grænseværdier for støj på opholdsarealer er overholdt.
Figur 80: Facadestøjkortet viser, at Fjordbyens bebyggelse disponeres, så facadestøjen holdes under 58 dB. Støjpåvirkningen er noteret på den enkelte facade, men markeres kun med en farve, hvis støjpåvirkningen ligger over 58 dB.
Figur 81: Støjudbredelseskort 1,5 m over terræn. Støjkortet er beregnet uden bebyggelse og viser den rene støjudbredelse fra eksterne og planlagte interne veje.
Figur 82: Støjudbredelseskort 4,5 m over terræn. Støjkortet er beregnet uden bebyggelse og viser den rene støjudbredelse fra eksterne og planlagte interne veje.
Figur 83: Støjudbredelseskort 7,5 m over terræn. Støjkortet er beregnet uden bebyggelse og viser den rene støjudbredelse fra eksterne og planlagte interne veje.
Figur 84: Støjudbredelseskort 10,5 m over terræn. Støjkortet er beregnet uden bebyggelse og viser den rene støjudbredelse fra eksterne og planlagte interne veje.
Vibrationer fra jernbane
Jf. Miljøstyrelsen skal der ved planlægning af nye boliger, der ligger nærmere end 25 m fra en lokalbane, påvise, at det ikke medfører vibrationsproblemer.
Lokalplanen sikrer, at der ikke opføres nye boliger, institutioner eller plejehjem nærmere end 25 m fra jernbanen.
Virksomhedsstøj
Inden for lokalplanens område er der tre virksomheder, en tankstation, en stilladsvirksomhed omkring Kalundborgvej og et autoværksted ved Nykøbingvej. Det er aftalt med ejeren af ejendommen, at autoværkstedet ved Nykøbingvej ophører, når lokalplanforslaget vedtages. Da tankstationen vil ligge bagved den kommende støjvold vil der ikke være virksomhedsstøj fra denne virksomhed.
I forbindelse med udarbejdelse af lokalplanen har Holbæk Kommune truffet afgørelse vedrørende stilladsvirksomhed umiddelbart syd for planområdet, hvis aktiviteter medvirker til udbredelse af støj ind over planområdet, der overskrider Miljøstyrelsens vejledende grænseværdier for virksomhedsstøj.
Afgørelsen medvirker til at stilladsvirksomheden xxx (afventer afgørelse)
Det vurderes på baggrund af Holbæk Kommunens afgørelse, at der ved planens vedtagelse ikke udlægges miljøfølsom anvendelse på støjplagede arealer.
Holbæk Kommune har meddelt, at der ikke er andre virksomheder i området som vurderes at medføre støjgener.
Jordforurening
I forbindelse med udarbejdelsen af forslag til lokalplanen er der udarbejdet en redegørelse for muligheden for at træffe jordforureninger indenfor planområdet, herunder en historisk redegørelse for mulige jordforurenende aktiviteter.
Tankstation
Der har siden 1960’erne frem til i dag været drevet tankstation umiddelbart syd for lokalplanens område. Der er på arealet konstateret 2 forureninger med olieprodukter, i 1988 under et tidligere oliedepot og i 2001 ved olieudskiller og standerområde. Den konstateret jordforurening fra 2001 førte til et oprensningspåbud efter jordforureningsloven. Dette areal er sidenhen blevet afgravet for jordforureningen, og i 2006 blev det af Holbæk Kommune skønnet, at 90 % af forureningen er fjernet, og i 2013 blev påbudssagen afsluttet.
Arealet og forureningen omkring selve tankstationen og dets standerområde er i dag blevet frigivet og færdigbehandlet af regionen, jfr. afgørelse fra Region Sjælland. Forureningen er endeligt afgrænset og på baggrund af afgørelsen forventes den efterladte restforurening ikke at påvirke naboområderne. Holbæk Kommune har dog bedt bygherre om at få afklaret, om der er risiko for træffes forurening stammende fra den forurening som blev konstateret i 1988 inden for planområdet, vha. jordprøver og/eller vand eller poreluftprøver i skel i til planområdet forbindelse med byggesagsbehandlingen af etableringen af de omkringliggende boliger. Kravet skyldes, at Holbæk Kommune under udarbejdelsen af lokalplanen har gjort opmærksom på, at der i 1988 blev påvist fri fase olie under et tidligere oliedepot. Der blev i forbindelse med dette opsamlet 1.500 liter olie samt bortkørt en ukendt mængde forurenet jord. Forureningen er ikke afgrænset eller oprenset efter de krav som bliver stillet i dag i forhold til undersøgelser og oprensning.
Frugtplantage
Der har historisk været drevet frugtplantage på en større del af planområdets sydlige areal. Generelt har drift af frugtplantager været ledsaget af anvendelse af pesticider, som kan have medført forurening af jorden/markerne, hvorfra frugtplantagen blev drevet, samt mere afgrænsede forureninger på de arealer, hvorfra pesticider er blevet opbevaret og optanket på sprøjteudstyr. På baggrund af den historiske redegørelse kan der siges noget generelt om de anvendte pesticider, idet pesticider anvendt i perioden 1930-1955 er sværere nedbrydelige end senere anvendte pesticider.
Størstedelen af planområdet har tidligere været anvendt til landbrugsdrift (er det ikke plantagedrift og evt landbrugsdrift – mark før og efter?), som omfatter en tidligere frugtplantage, hvor der med al sandsynlighed er anvendt 1., 2. og 3. generations pesticider (hvornår har de forskellige været anvendt og hvilke udfordringer vil disse evt give i forbindelse med ændringen af anvendelsen af arealet til bolig – primært i forhold til kontaktrisiko).
I forhold til indledende miljøscreening af arealet, hvorpå der har været frugtplantage, har Region Sjælland oplyst, at retningslinjer for pesticidundersøgelser er under udarbejdelse. Region Sjælland henviser til deres generelle ”krav til indledende undersøgelse” og oplyser, at det vurderes fra sag til sag, og at historikken er afgørende.
Den tidligere frugtplantage dækkede et areal på knap 3 ha.
Af geologiske profiler ses, at det øverste pløjelag er ca. 20-30 cm og herunder træffes hyppigst glaciale aflejringer (Moræneler). I boringerne længst mod øst er der dog mellem pløjelaget og de glaciale aflejringer omlejret materiale (muldblandet og sandet og ler). Der er truffet grundvand i niveauet omkring 2 m under terræn, (Boregruppen, 2020).
Af Region Sjællands generelle krav fremgår det, af afsnit 3.3, at der ”som udgangspunkt analyseres mindst 2 medier (jord, vand eller poreluft) fra en undersøgt forureningskilde, uanset om der er synlige tegn på forurening.”
Det foreslås, at der indledningsvist udtages 8 stk. jordprøver (det skal afklares med regionen om dette er et tilstrækkeligt omfang) under pløjelaget dvs. anslået fra 0,20-0,50 m u.t. Jordprøverne udtages som blandeprøver á 4-5 nedstik, der analyseres for de stoffer der har været i bekæmpelsesmidler der er anvendt inden for driftsperioden. Der analyseres både for udvaskelige og jordbundne pesticider og nedbrydningsprodukter og metaboliter, for Round-up, for tungmetaller samt arsen og kviksølv.
I miljøbeskyttelsesloven er der krav om oplysningspligt til kommunen, hvis der konstateres forurening, både i forbindelse med gravearbejde og i forbindelse med en undersøgelse.
Herudover skal der ved nyttiggørelse/genanvendelse af forurenet jord samt etablering af midlertidige mellemdepoter for forurenet eller muligt forurenet jord indhentes tilladelse efter miljøbeskyttelseslovens § 19 eller § 33.
Det er ved en screening undersøgelse anbefalet, at der indledningsvis udtages 8 stk. jordprøver 0,20-0,50 m under terræn. Jordprøverne skal udtages som blandeprøver á 4-5 nedstik, hvor der analyseres for de stoffer der har været i bekæmpelsesmidler der er anvendt inden for driftsperioden. Der analyseres både for udvaskelige og jordbundne pesticider og nedbrydningsprodukter/metaboliter, for Round-up, for tungmetaller samt arsen og kviksølv.
Da der skal etableres boliger som parcelhuse, rækkehuse og enkelte boligblokke og offentlige institutioner, skal der ved senere planlægning eller senest inden tilladelse til den konkrete etablering af boliger udarbejdes en historisk redegørelse af forhold omkring plantagen, der præciserer driftsperioder og eventuelle punktkilder. I tilfælde af at den historiske redegørelse viser det nødvendigt, skal der ligeledes foretages de nødvendige jordprøver. Det vurderes samtidig, at en eventuel senere offentlig indsats ikke bliver uforholdsmæssigt fordyret, da en eventuel indsats overfor grundvandet ikke forhindres med de aktuelle bygningsfodaftryk.
Etablering af støjvold
I forbindelse med realisering af lokalplanen vil det blive nødvendigt at tilvejebringe støjdæmpende foranstaltninger ud mod trafikken på Kalundborgvej. Der forventes derfor etableret en støjvold, som der afsættes areal til i rammelokalplan. Etablering af støjvolden vil med stor sandsynlighed ske med jord fra arealerne i lokalplanområdet og kan derfor rumme forskellige grader af forurening. Det skal i forbindelse med etablering af støjvolden derfor vurderes, om dette vil kræve yderligere vurdering af påvirkning på miljøet, herunder specielt ændring af afstrømning af overfladevand.
En vedtagelse af planen vil medføre udlæg af arealer til boliger hvor et forureningsomfang og en forureningsgrad af tidligere anvendte pesticider endnu ikke er kendt til fulde.. Ved etableringen af følsom anvendelse skal der forinden udtages jordprøver for at kortlægge et eventuelt omfang af pesticidforurenet jord jf. bl.a § 72b, så eventuelle nødvendige afværgeforanstaltninger kan bringes i anvendelse.
Fund og fortidsminder
Der er tidligere gjort fund inden for området, jf. nedenstående afsnit om arkæologiske interesser. Hvis der fremkommer fund indenfor lokalplanområdet, f.eks. i forbindelse med byggemodning jf. Museumslovens § 25 kan bygherren eller den, for hvis regning et jordarbejde skal udføres på landjorden, forud for igangsætning af arbejdet anmode Museum Vestsjælland om en udtalelse. Såfremt der i forbindelse med grave- og anlægsarbejder konstateres fund af fortidsminder, skal den del af arbejdet, der berører fundet, straks indstilles, og fundet skal anmeldes til Museum Vestsjælland, jf. Museumslovens § 27.
Arkæologiske interesser
Nyere tids interesser
På arealet findes flere beskyttede sten- og/eller jorddiger, som der skal tages hensyn til under arbejdet.
Arkæologi/jordfund
På den sydlige del af arealet er registreret en fredet gravhøj (SB 31243) og en 100 meter fortidsmindebeskyttelseszone fra en anden gravhøj går ind i arealet (SB 312419) og en markering af 2-3 overpløjede gravhøje (SB 17, 109 og 110). På arealet er ligeledes registreret flere genstande fra stenalderen, som tyder på en markant menneskelig tilstedeværelse i perioden (SB 31, 40, 48, 53, 56, 57, 59, 63, 64, 88, 98, 99, 101, 102 og 104-106). Hertil er der under nedlæggelse af spildevandsleding i området gjort fund af bopladsaktivitet af uspecificeret oldtidskarakter (SB 119). Stenalderregistreringerne ligger jævnt fordelt over hele området. Lige øst for området har museet tidligere foretaget en forundersøgelse, som påviste nyere tids forstyrrelser i jorden, som formodentligt har ødelagt alle sport af tidligere tider. Dette skulle ikke være tilfældet for det pågældende område, da det ligger længere væk fra nyere tids bebyggelse. Lige vest for området har museet også foretaget undersøgelser i forbindelse med bygning af motorvejen, og her var bevaringsforholdende bedre. Der fremkom en mindre bebyggelse dateret til bronzealder/ jernalder.
Museum Vestsjælland orienterer om muligheden for at sikre bygherre mod udgifter i forbindelse med standsning af jordarbejdet.
Museum Vestsjælland anbefaler, at der bliver foretaget en arkæologisk forundersøgelse forud for byggemodning i området.
Miljøvurdering
Planforslaget er omfattet af kravet om miljøvurdering, da planen udarbejdes inden for fysisk planlægning og arealanvendelse, og fastlægger rammerne for fremtidige anlægstilladelser til projekter, der er omfattet af bilag 2 pkt. 10. b, anlægsarbejder i byzoner, og det vurderes, at planen ikke er omfattet af lovens undtagelsesbestemmelser.
Der er derfor udarbejdet en miljørapport til planforslaget. Miljørapporten medtager følgende emner:
- Beskyttede naturtyper.
- Beskyttede arter.
- Støj.
- Trafik og trafiksikkerhed.
- Vandområder.
- Materielle goder.
- Arkæologisk kulturarv.
- Visuelle forhold.
- FN´s Verdensmål.
Miljørapporten er i høring sammen med planforslaget.
Bilag IV-arter
I henhold til Habitatbekendtgørelsens § 6, skal der, i redegørelsen til planforslag i medfør af planloven, indgå en vurdering af forslagets virkninger på området under hensyn til områdets bevaringsmålsætninger.
Ifølge bekendtgørelsen om udpegning og administration af internationale naturbeskyttelsesområder samt beskyttelse af visse arter, kan et planforslag ikke vedtages, hvis gennemførelsen af planen kan betyde:
at planen skader Natura 2000-områder.
at yngle- og rasteområder i det naturlige udbredelsesområde for de dyrearter, der er optaget i habitatdirektivets bilag IV, litra a) kan blive beskadiget eller ødelagt.
at de plantearter, som er optaget i habitatdirektivets bilag IV, litra b) i alle livsstadier, kan blive ødelagt.
Alle planer og projekter skal derfor vurderes i forhold til, om de kan skade Natura-2000 områder eller bilag IV-arter.
Flagermus
Der er registreret flagermus aktivitet i gårdbygningen på Kalundborgvej 266 (delområde 12) og i ældre træer i det umiddelbart nærliggende skovområde øst for bygningen (delområde 5f).
Det har ikke været muligt at finde ind- og udslusningshullet for flagermusene ved gårdbygningen. En gennemførelse af en eventuel nedrivning eller renovering af bygningen forudsætter derfor en undersøgelse af hvor hullet er, så eventuelle flagermus senere hen kan udsluses inden for en kort periode fra sidst i august til først i september. Det vurderes, at der ved udslusningen ikke er væsentlig risiko for individdrab på flagermus.
Det er på baggrund af naturundersøgelsen vurderet, at skovområdet øst for gården ved Kalundborgvej 266, udgør et vigtigt fourageringshabitat, for primært dværgflagermus, i både yngleperioden og sensommeren.
Der er derfor udpeget og afmærket gamle træer, der kan bevares og senere veteraniseres. Træerne er vist på Figur 85 herunder.
Figur 85:Afmærkede træer der skal bevares.
Træerne er udpeget i lokalplanen, som træer der skal bevares for at opretholde nuværende flagermusaktivitet i området. Det vurderes på den baggrund at lokalplanen ikke vil påvirke den økologiske funktionalitet i området.
Det vurderes desuden, at en mulig udslusning af flagermus fra ejendommen ikke vil have væsentlig betydning for flagermusenes økologiske funktionalitet i området, da lokalplanen sikrer veteranisering af træer og bevaring af ældre træer i skovområdet. Lokalplanen giver desuden mulighed for rydning af andre træer/underbeplantning i skovområdet, der vil forbedre flagermusenes levevilkår i området, idet dette sandsynligvis vil forbedre området som fourageringsområde.
Padder
Der er ikke fundet bilag IV-paddearter inden for planområdet.
Der er ved vandhul 2 (VH2 på Figur 86) registreret lille vandsalamander i form af et voksent individ og en larve. Lille vandsalamander er fredet under artsfredningsbekendtgørelsen og må ikke slås ihjel. Da der ved realiseringen af den byggeretsgivende lokalplan (etape 1) etableres boliger og veje rundt om VH2, skal der under anlægsfasen etableres paddehegn, så individer ikke vandrer ind på byggepladser. Afvanding af veje ledes uden om VH2. Skyggediagrammer viser, at skygger fra boliger ikke vil påvirke VH 2 permanent. Det vurderes derfor, at vandhullet ikke forringes som ynglested for lille vandsalamander. Der er ikke fundet padder ved vandhul 3. Det vurderes dog, at levevilkår for padder med tiden forbedres, da det forventes, at vandhullet vil blive mere lysåbent.
Der er fundet stor vandsalamander uden for planområdet ved vandhul 4 (VH4). En mindre del af den østlige del af planområdet vurderes potentielt at blive anvendt som rasteområder.
En realisering af lokalplanen vil dog ikke muliggøre etablering af boliger og veje på disse arealer, hvorfor det vurderes, at rasteområderne ikke påvirkes af planerne. Afvandingsystemer ledes ligeledes uden om området. I anlægsfasen skal det sikres, at rasteområdet ikke anvendes til byggepladsaktivitet, og at rasteområdet der krydser ind over planområdet hegnes af med paddehegn, så individer ikke vandrer ind på eventuelle byggepladser, i så fald de etableres i nærheden.
Der inddrages ikke raste- eller yngleområder for bilag-IV arten stor vandsalamander, som er fundet uden for planområdet. Der tages hensyn til lille vandsalamander inden for planområdet og stor vandsalamander i forbindelse med anlægsfasen ved brug af paddehegn. Det vurderes derfor, at planerne ikke har indvirkning på lille og stor vandsalamander, herunder bilag IV-paddearten stor vandsalamander.
Figur 86: Vandhuller undersøgt for padder inden for og omkring planområdet
Markfirben
Der blev ved undersøgelserne af planområdet ikke fundet markfirben og realisering af planen vurderes derfor ikke at medføre en væsentlig påvirkning for markfirben. Realisering af planen påvirker derfor ikke områdets økologiske funktionalitet, og der er ligeledes ikke risiko for individdrab. Realisering af planen vurderes derfor ikke at medføre en væsentlig påvirkning for markfirben
Fugle
Langt størstedelen af fuglearter, som er registreret i området, er almindeligt forekommende havefugle eller arter der almindeligt ses i landbrugslandet. Herudover er der registreret et mindre antal rødlistede og truede fuglearter. Disse findes dog også i almindelige landbrugs- og forstadsområder.
Planområdet er egnet for en del ynglende arter. Langt størstedelen af arterne er almindeligt forekommende havefugle eller arter der almindeligt ses i landbrugslandet. syv fugle er optaget på den danske rødliste.
Herudover er to af de observerede arter optaget på fuglebeskyttelsesdirektivets bilag I: rød glente og rørhøg. Både de truede arter og bilag I-arterne findes dog også almindeligt i let drevne landbrugsområder og i forstadsområder.
Området vurderes desuden at have værdi for ynglende og rastende fugle, men kun for almindeligt forekommende fugle. Af den grund vurderes realisering af lokalplanen ikke at medføre en væsentlig påvirkning på fuglene. Det skyldes at der er mange andre lignende områder med landbrugsarealer. Denne type af landskab vurderes ikke at være en begrænsende faktor for nogen af de registrerede fugle.
Samlet konklusion
En vedtagelse af planen vurderes at have en samlet ubetydelig påvirkning på bilag-IV arter i området.
Redegørelse for Natura-2000 kan ses under afsnittet Redegørelse forhold til anden planlægning, ’Natura 2000’.







